In Berlin-Brandenburg vorkommende Familien
sortiert nach wissenschaftlichen Namen sortieren nach deutschen Namen
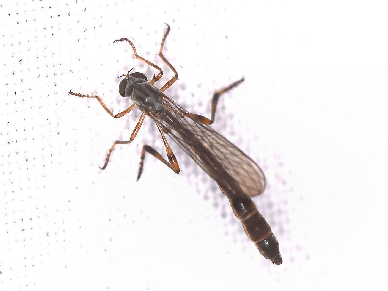
Asilidae - Raubfliegen
illustrierte Arten
sortiert nach wissenschaftlichen Namen sortieren nach deutschen Namen
Asilidae - Raubfliegen
Die Vertreter der riesigen Familie der Raubfliegen (ca. 7000 Arten, in Deutschland gut 90 Arten) sind überwiegend auffällige, markante Tiere, einige werden bis 3 cm groß. Die Imagines sind unermüdliche Jäger, ihr Körperbau ist an diese Lebensweise angepasst. Sie sind meist schlank und haben lange, stark beborstete Fangbeine, mit denen sie ihre Beute ergreifen. Der Kopf mit den großen Augen, die durch eine Stirnfurche getrennt sind, ist frei beweglich und ermöglicht eine gute Rundumsicht. Unterhalb der Fühler befindet sich ein markanter Bart aus langen vorragenden Borsten, darunter sitzt ein kurzer, kräftiger Rüssel. Viele Arten haben einen stark behaarten Körper. Die Flügel werden im Ruhezustand über dem langen Hinterleib zusammengefaltet, der oft über die Flügel hinausragt und in auffälligen, glänzenden Genitalsegmenten endet.
Raubfliegen sind wärmeliebend und bevorzugen offene Lebensräume wie z. B. Heidelandschaften und lichte Wälder mit viel Totholz. Von einem Lauersitz aus wird die chancenlose Beute - verschiedenste Insekten, oft größer als der Jäger - verfolgt und im Fluge ergriffen. Mit dem messerscharfen Stechrüssel, der auch harte Chitinpanzer durchdringen kann, wird dem Opfer ein Gemisch aus lähmendem Nervengift und Verdauungsenzymen injiziert. Auf einem Sitzplatz wird dann der vorverdaute Nahrungsbrei aufgesaugt. Die Weibchen benötigen davon besonders viel zur Produktion der Eier. Diese werden entweder im Fluge einfach fallen gelassen, an Pflanzenteilen oder in Totholzritzen abgelegt oder in der Erde vergraben. Die Larven entwickeln sich im Boden oder in Larvengängen holzbewohnender Insekten. Sie leben ebenfalls räuberisch von Eiern und Larven anderer Insekten, vor allem von Holzkäfern, sowie weiteren Kleintieren. Ihre Entwicklung kann sich über mehrere Jahre hinziehen.
Raubfliegen sind wärmeliebend und bevorzugen offene Lebensräume wie z. B. Heidelandschaften und lichte Wälder mit viel Totholz. Von einem Lauersitz aus wird die chancenlose Beute - verschiedenste Insekten, oft größer als der Jäger - verfolgt und im Fluge ergriffen. Mit dem messerscharfen Stechrüssel, der auch harte Chitinpanzer durchdringen kann, wird dem Opfer ein Gemisch aus lähmendem Nervengift und Verdauungsenzymen injiziert. Auf einem Sitzplatz wird dann der vorverdaute Nahrungsbrei aufgesaugt. Die Weibchen benötigen davon besonders viel zur Produktion der Eier. Diese werden entweder im Fluge einfach fallen gelassen, an Pflanzenteilen oder in Totholzritzen abgelegt oder in der Erde vergraben. Die Larven entwickeln sich im Boden oder in Larvengängen holzbewohnender Insekten. Sie leben ebenfalls räuberisch von Eiern und Larven anderer Insekten, vor allem von Holzkäfern, sowie weiteren Kleintieren. Ihre Entwicklung kann sich über mehrere Jahre hinziehen.
illustrierte Arten